Rivers twice as wide as those on Earth flowed on Mars one billion years ago
New research suggests that long ago the Red Planet was criss-crossed by enormous raging rivers that dwarfed their Earthly counterparts

Rivers bigger and more powerful than those on Earth flowed on Mars later in the planet’s history than previously thought, research has shown.
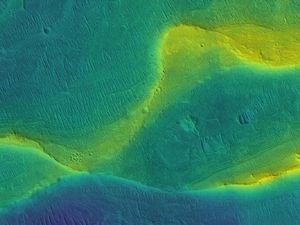
The raging water courses carved deep channels into the Martian surface at “hundreds of locations”, said scientists.
Satellite images and data from Nasa’s Curiosity rover indicate that many of the rivers were twice as wide as those on Earth.
They may also have persisted until less than one billion years ago, the evidence suggests.

The findings are a mystery, because scientists had thought the Red Planet was losing its atmosphere and drying out during this time.
Dr Edwin Kite, from the University of Chicago, said: “It’s already hard to explain rivers or lakes based on the information we have. This makes a difficult problem even more difficult.”
The amount of water gushing through the river channels was estimated at between three and 20 kilograms per square metre per day.

The team studied more than 200 ancient Martian river beds criss-crossing the planet.
The width and steepness of the channels and size of rounded pebbles they contained provided clues about the volume and force of water that once flowed through them.
Oddly, the rivers appeared to have been flowing until the “last geological minute” before the planet became a desert, said the researchers writing in the journal Science Advances.
“You would expect them to wane gradually over time, but that’s not what we see,” said Dr Kite. “The rivers get shorter – hundreds of kilometres rather than thousands – but discharge is still strong.
“The wettest day of the year is still very wet.”
One possibility is that the Martian climate had an “on/off” switch that tripped back and forth between dry and wet cycles, he added.





